*Melissa, najsnažnija oluja ove godine, je uragan pete kategorije*Brojni stanovnici Jamajke pripemali su se na dokazak oluje*Meteorolozi upozoravaju na katastrofalne i po život opasne uvjete
Hurricane Melissa bears down on Jamaica https://t.co/A6nImxebUT
— Reuters (@Reuters) October 28, 2025
18:15 Uragan je pogodio Jamajku, javlja CNN. Uragan Melissa izazvat će “katastrofalnu štetu” na Jamajci, rekao je premijer Andrew Holness u utorak prije nego što je oluja pete kategorije zahvatila kopno. “Ne postoji infrastruktura u ovom području, ili možda bilo gdje u svijetu, koja bi izdržala uragan pete kategorije bez određenog stupnja štete”, rekao je Holness za CNN. “A za Jamajku, uragan pete kategorije, posebno kada je utjecaj izravan, u području pogođenom olujom, doći će do katastrofalne štete”, nastavio je. Južni dio Jamajke bit će posebno pogođen olujom, rekao je Holness. “Molim se za te stanovnike, pripremali smo se i molimo se za najbolje”, rekao je, potičući Jamajčane da “ostanu unutra, osiguraju domove i budu sigurni”.
17:55 Središte oluje počinje pristajati uz obalu Jamajke, ali oluja još nije zahvatila kopno. Uragan pete kategorije ima vjetrove brzine 298 km/h prema podacima Nacionalnog centra za uragane. Službeni udar oluje na kopno dogodit će se kada barem polovica oka oluje bude iznad kopna, vjerojatno u sljedećih satpiše CNN.
16:42 – Desmond McKenzie, jamajčanski ministar lokalne uprave, pozvao je stanovništvo da iskoristi posljednje trenutke prije nego što Melissa pogodi otok kako bi pronašli sklonište. „Još uvijek postoji mali prozor prilike“, rekao je. „Iskoristimo ga i iskoristimo ga mudro. Želim vidjeti više ljudi u skloništima.“
McKenzie je procijenio da se već oko 6.000 ljudi nalazi u skloništima na otoku. Dodao je: „Jamajko, ovo nije vrijeme za hrabrost. Ne kladite se protiv Melisse – to je oklada koju ne možemo dobiti.“ McKenzie je rekao da je Jamajka spremna brzo reagirati na operacije potrage i spašavanja kad Melissa stigne. „Imamo čamce, helikoptere – što god treba“, rekao je. Dodao je da je vlada opremila vojsku s nekoliko helikoptera. „Jamajčanska vatrogasna služba također ima niz čamaca koji se mogu koristiti i na kopnu i na moru za akcije spašavanja i potrage.“ McKenzie je zaključio kako je ovo posljednje službeno obraćanje vlasti prije nego što Melissa pogodi otok, piše Sky News.
16:15 – Gotovo 250 tisuća stanovnika Jamajke ostalo je bez struje, potvrdio je ministar energetike Daryl Vaz na konferenciji za medije. – Električna mreža već je teško pogođena uvjetima uragana, što je izazvalo brojne prekide opskrbe diljem otoka – izjavio je Vaz. Prema njegovim riječima, snažni vjetrovi i udari munja izvan pogona su stavili nekoliko proizvodnih postrojenja, ključne transformatorske stanice te prijenosne i distributivne vodove. Najviše su stradala područja St Elizabeth, Manchester, Hanover i St James, smještena na zapadu zemlje.
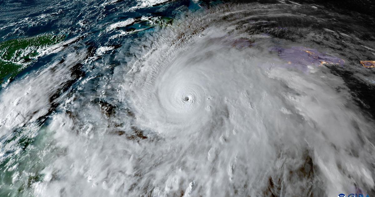
16:00 – Nacionalni centar za uragane (NHC) objavio je da uragan Melissa “nastavlja jačati” dok se približava Jamajci i da u središtu sada ima stalnu brzinu vjetra od 185 milja na sat (oko 300 km/h). To ga čini drugim najjačim uraganom u povijesti Atlantika prema brzini vjetra, odmah iza uragana Allena iz 1980. koji je dosegnuo 190 milja na sat. Američka agencija upozorila je stanovnike da se odmah sklone u čvrsta skloništa i da između sebe i vanjskog prostora postave što više zidova. “Ovo je posljednja prilika da zaštitite svoj život”, poručili su iz Nacionalnog centra za uragane.
10AM #Melissa Update: @53rdWRS and @NOAA_HurrHunter Hurricane Hunter aircraft find that Melissa continues to strengthen. Catastrophic winds are moving onshore southern Jamaica. THIS IS THE LAST CHANCE TO PROTECT YOUR LIFE! For more updates visit https://t.co/tW4KeGe9uJ pic.twitter.com/3jr34vkzrZ
— National Hurricane Center (@NHC_Atlantic) October 28, 2025
14:52 – Jamajka se priprema za najjaču oluju na svijetu ove godine, za koju se predviđa da će biti i jedna od najsnažnijih zabilježenih oluja koje su pogodile otok. Američki meteorolozi upozoravaju na “katastrofalne i po život opasne” uvjete. Očekuje se da će uragan u sljedećih nekoliko sati udariti u Kingston, glavni grad zemlje.
Jamajka se priprema za najjaču oluju na svijetu ove godine
13:50 – Katastrofalni vjetrovi uraganske snage očekuju se na Jamajci u sljedećih nekoliko sati, kaže američki Nacionalni centar za uragane (NHC). Na otoku već vladaju uvjeti tropske oluje, navodi NHC u svom najnovijem ažuriranju. Još uvijek klasificira Melissu kao uragan pete kategorije s maksimalnim stalnim vjetrovima blizu 280 km/h i “očekuje se mala promjena u snazi” prije nego što dođe na kopno. Uragan je udaljen 90 km od otoka, ali vjetrovi uraganske snage osjetit će se do 45 km od središta, navodi se. “Očekuje se da će Melissa stići do Jamajke i jugoistočne Kube kao izuzetno opasan veliki uragan”, kaže se.
13:42 – Oko 1000 ljudi nalazi se u skloništima na Jamajci dok se uragan Melissa približava otoku. Abka Fitz-Henley, državni ministar u Uredu premijera, kaže za BBC da vlada očekuje “značajnu štetu na infrastrukturi”.
11:14 – “Ne izlazite”, poziva američki Nacionalni centar za uragane (NHC), koji očekuje “potencijalno po život opasne” vjetrove, poplave i razaranje usporedivo s onim koje su izazvali uragani Maria 2017. i Katrina 2005., u Portoriku i New Orleansu. Prema lokalnim vlastima u ponedjeljak, tri osobe su poginule na Jamajci dok su se pripremale za dolazak uragana režući grane i radeći na ljestvama.
Premijer Andrew Holness je upozorio na osobito veliku štetu u zapadnom dijelu zemlje. “Ne mislim da bilo kakva infrastruktura u ovoj regiji može izdržati uragan pete kategorije te bi moglo biti značajnog razaranja”, rekao je za američki CNN, pozivajući stanovnike da evakuiraju najrizičnija područja.
No, mnogi stanovnici odbijaju slijediti upute. “Jednostavno ne želim otići”, objasnila je Jennifer Ramdial, ribarica koju je AFP intervjuirao u ponedjeljak u Port Royalu, priobalnom gradiću blizu glavnog grada Kingstona. Vodoinstalater Roy Brown koji se složio s njom dodao je da mnogi ljudi ne žele otići zbog loših iskustava u skloništima koje nude vlasti.
Očekuje se da će Melissa prouzročiti poplave na priobalnom području u visini do četiri metra u utorak te obilne kiše u unutrašnjosti otoka, upozorio je Michael Brennan, ravnatelj NHC-a. Zabrinutost je dodatno uvećana zbog činjenice da se uragan kreće veoma sporo, pri brzini od četiri kilometra na sat, što znači da bi obilne kiše i snažni vjetrovi mogli potrajati. Posljednji veći uragan koji je došao na Jamajku bio je uragan Gilbert u rujnu 1988. koji je ubio 40 osoba i prouzročio veliku štetu.
10:12 – Posada pričuvnih snaga Zračnih snaga SAD-a poznata kao “Lovci na uragane“ prolijetala je kroz oko uragana Melissa kako bi prikupila podatke za Nacionalni centar za uragane. S brzinama vjetra do 282 km/h, uragan pete kategorije najjača je oluja na svijetu u 2025. godini. Očekuje se da će doći na kopno na Jamajci kasno u ponedjeljak ili rano u utorak, prije nego što prijeđe preko istočne Kube i Bahama.
The US Air Force Hurricane Hunter flies into the eye of Hurricane Melissa this afternoon.pic.twitter.com/lLrRVAJZXM
— WeathÉire (@weatheire1) October 27, 2025
9:30 – Veći dio Jamajka već pogađaju uvjeti tropske oluje. Oluja se kreće vrlo sporo, brzinom od samo 3,2 km/h u smjeru sjeveroistoka. No, sada kada je skrenula prema sjeveru, mogla bi malo ubrzati, piše BBC.
7:04 – Jamajka se priprema za najjaču oluju na svijetu ove godine, možda najjaču u povijesti ove otočne države, dok američki meteorolozi upozoravaju na ‘katastrofalne i po život opasne’ uvjete. Uragan Melissa, koji bi trebao pogoditi kopno rano u utorak, već je odgovoran za tri ‘smrtna slučaja povezana s olujom’ na karipskom otoku, kao i za četiri smrtna slučaja na Haitiju i u Dominikanskoj Republici, javlja BBC.
S brzinama vjetra do 282 km/h, Melissa je uragan pete kategorije – maksimalne jačine. I još se pojačava. Stručnjaci upozoravaju da bi spori tempo uragana mogao značiti produljene obilne kiše u nekim područjima, povećavajući rizik od smrtonosnih poplava i klizišta. Jamajčanska vlada učinila je sve što može da se pripremi za oluju ‘kakvu nikada prije nismo vidjeli’, rekla je ministrica informiranja Dana Morris Dixon za Shauna Leyja u BBC-jevoj emisiji Newshour. S mogućim količinama kiše do 1 metra u nekim dijelovima otočne države, Dixon kaže da su to ‘brojke koje nikada prije nismo vidjeli na Jamajci u pogledu oborina’. A povrh toga, dodaje Dixon, listopad je već najkišovitiji mjesec u zemlji.
OLUJA PETE KATEGORIJE NA ATLANTIKU
FOTO Stiže im razarajući uragan s vjetrovima od 260 km/h: ‘Ne izlazite. Neke zajednice neće preživjeti’
SNAŽNA OLUJA
Uragan ‘Gabrielle’ približava se Europi: Donosi ekstremne vremenske uvjete, evo koje će područje zahvatiti
– Tlo je već vrlo zasićeno. A onda primiti toliko kiše znači da ćemo imati poplave, opsežne poplave i klizišta u planinskim područjima – kazala je i dodala da je posljednji uragan koji je izravno pogodio Jamajku bio prije 37 godina i pozvala ljude da ovaj shvate ozbiljno. Jamajka ima 881 aktivno sklonište i sva su besplatna, dodala je.
Uragan Melissa donijet će ‘katastrofalne i po život opasne brze poplave’ na Jamajku, upozorava Nacionalni centar za uragane. Američka skupina očekuje između 15 i 30 inča kiše na Jamajci, s opsežnim kišama na Kubi i jugoistočnom Bahamima, donoseći ‘brojna klizišta’. Očekuju se razorni vjetrovi do 209 km/h koji će uzrokovati nestanke struje i izolaciju zajednica. Slična je situacija na Haitiju, Dominikanskoj Republici i jugoistočnim Bahamima, gdje centar za uragane upozorava na po život opasne brze poplave i klizišta. Jamajčanski premijer Andrew Holness naredio je obveznu evakuaciju nizinskih područja dok se otok priprema za dolazak uragana Melissa. Naredbe za skloništa također su na snazi u zemlji, a sve javne škole prebačene su na online nastavu. Dvije međunarodne zračne luke, Norman Manley International Airport u Kingstonu i Sangster International Airport u Montego Bayu, također su zatvorene.
Meteorolog i lovac na oluje Matthew Cappucci kaže za BBC da će Melissa, uragan pete kategorije, biti najjači koji je pogodio Jamajku otkako se vode evidencije. Bio je jedan uragan, Gilbert, 1981. godine koji je ubio 49 ljudi na Jamajci, a bio je treće kategorije kada je stigao na kopno, kaže on. Melissa bi ‘mogla bi biti reda veličine značajnija’, jer jačina uragana ne raste linearno – raste eksponencijalno. – Nitko na Jamajci nije proživio ništa usporedivo s onim što će doživjeti – kaže Cappucci. Dodaje da iako uragani pete kategorije postoje, rijetko dolaze do kopna.
Stiže im oluja kakvu još nisu vidjeli: ‘Nitko na Jamajci nije proživio ništa usporedivo’
Vaš preglednik ne omogućava pregled ovog sadržaja.
NAŠE KANDIDATKINJE ZA MISS SVIJETA
FOTO Upoznajte kandidatkinje za Miss Hrvatske, hoće li nova misica biti doktorica, znanstvenica ili odvjetnica?
ZVIJEZDE OTKRIVAJU
Vukovi samotnjaci: Ljudi rođeni u ova četiri horoskopska znaka snagu nalaze u osamljenosti
CIJENA JE PRAVA SITNICA
FOTO Neviđeni luksuz u Rijeci: Stan iz snova s golemom terasom i bazenom
NEVJEROJATNA PRIČA
Kako su Hrvati čuvali svoj identitet u Jugoslaviji između dva rata?
Nas je oduševio
Ovaj recept hit je na internetu, a toliko je jednostavan da ga mogu napraviti i oni bez iskustva u kuhinji!
Provjerite novčanike: Hrvat kovanicu prodaje za čak 12.500 eura, imate li je kod kuće?




















